00000 Cedar StreetLavon, TX 75166



Mortgage Calculator
Monthly Payment (Est.)
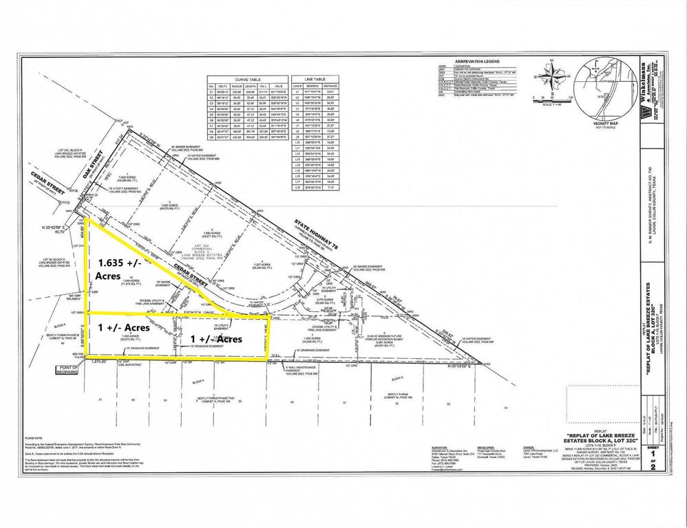
$2,683This commercial zoned section of Lake Breeze Estates, a 25 + acre Planned Commercial-Retail development is adjacent to the Lake Breeze Estates residential development of 109 platted lots. The development provides excellent retail sites across Highway 78 from two major developments that are in the construction stage. The LakePointe Development is approximately 200 acres and will be mostly single-family homes. Adjoining that development is the Elevon Development, a mixed-use development of approximately 1,600 acres currently under development. Lavon is experiencing explosive growth as residential development continues with these developments and other developments that are in process. This increase in residential development is adding to the need for commercial-retail development in the area. The property is visible and readily accessible from Highway 78. The Planned Development for this section of the development calls for Office or Institutional uses. Some other Retail uses may be allowed. Please verify with the City of Lavon that your intended use is an allowable use.
| 3 weeks ago | Listing updated with changes from the MLS® | |
| 3 weeks ago | Listing first seen on site |
© 2020 North Texas Real Estate Information Systems. All rights reserved. Information is deemed reliable but is not guaranteed accurate by the MLS or NTREIS. The information being provided is for the consumer's personal, non-commercial use, and may not be reproduced, redistributed, or used for any purpose other than to identify prospective properties consumers may be interested in purchasing.
Last checked: 2026-03-06 08:11 PM CST
Did you know? You can invite friends and family to your search. They can join your search, rate and discuss listings with you.